Siêu bão mạnh nhất 2025
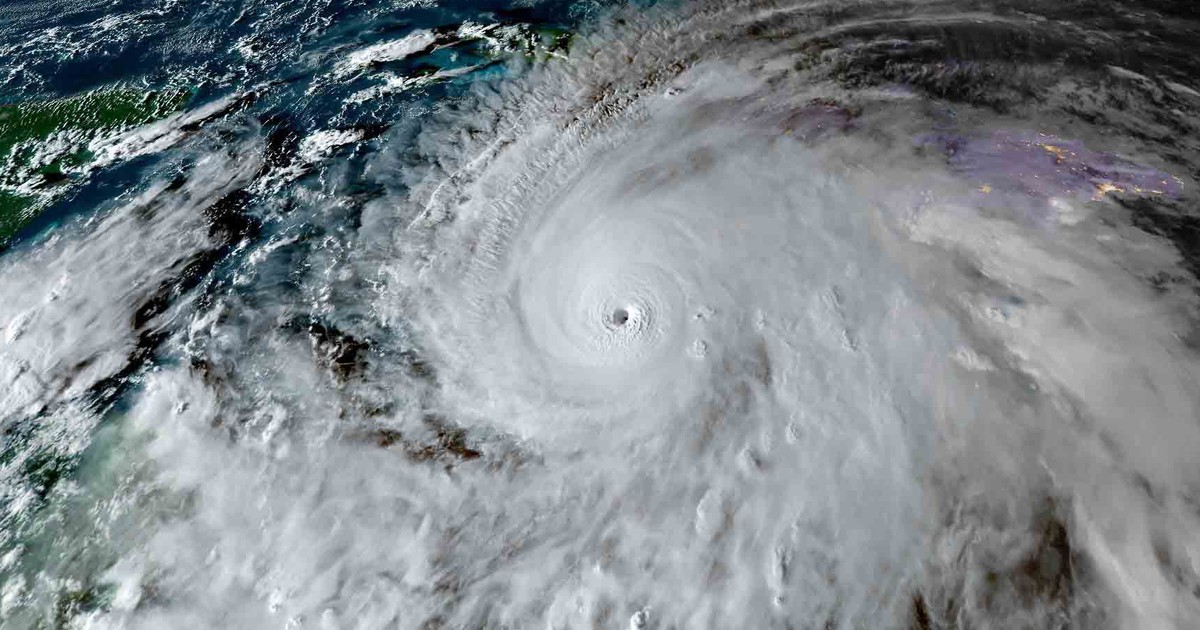
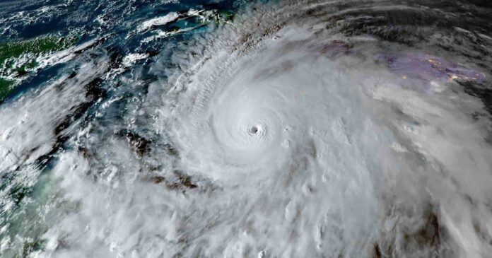
Theo Trung tâm Bão quốc gia Mỹ (NHC), Melissa, cơn bão với sức gió 282 km/giờ, đang cách Jamaica khoảng 240 km về phía tây nam và có khả năng đổ bộ trực tiếp vào ngày 28.10, mang theo lũ lụt và sóng cao tới 4 m dọc các vùng duyên hải phía nam. Sau đó, bão dự kiến tiếp tục di chuyển sang đông nam Cuba vào ngày 29.10, theo NBC News.

Hình ảnh vệ tinh cho thấy siêu bão Melissa trên biển Caribbean ngày 27.10.2025
Thủ tướng Jamaica Andrew Holness cảnh báo đây có thể là cơn bão “có sức tàn phá khủng khiếp nhất từng được ghi nhận trên đảo”. Chính phủ nước này đã chuẩn bị 850 nơi trú ẩn với sức chứa hơn 20.000 người. Song, ông Holness thừa nhận công tác phục hồi “sẽ vượt quá khả năng quốc gia nếu Melissa đổ bộ với cường độ hiện tại”.
“Cơ sở hạ tầng đường bộ, cầu cống, cống rãnh của chúng ta sẽ bị thiệt hại nặng nề, và có thể một số cảng biển, sân bay cũng sẽ bị ảnh hưởng nghiêm trọng”, ông Holness nói trong buổi phỏng vấn với CNN tối 27.10. Bộ Y tế Jamaica ngày 28.10 xác nhận ít nhất 3 trường hợp tử vong đã xảy ra trong quá trình chuẩn bị ứng phó trước khi bão đổ bộ. Văn phòng Điều phối các vấn đề nhân đạo LHQ (OCHA) cho biết đang triển khai nhân viên hỗ trợ “ngay khi điều kiện cho phép” để phối hợp cứu trợ và ứng phó thảm họa tại khu vực.
Siêu bão Melissa lên cấp mạnh nhất với tác động ‘thảm khốc’
Các chuyên gia nhận định bão Melissa đặc biệt nguy hiểm do di chuyển rất chậm, chỉ khoảng 5 km/giờ, khiến khu vực nằm trên đường đi phải hứng chịu gió mạnh, mưa lớn và sóng dữ dội trong thời gian kéo dài hơn bình thường. Với cường độ và quy mô hiện tại, Melissa không chỉ là “phép thử” đối với khả năng chống chịu thiên tai của Jamaica, mà còn báo hiệu xu hướng ngày càng đáng lo ngại – các siêu bão xuất hiện thường xuyên hơn, mạnh hơn và khó dự đoán hơn trên toàn cầu.
Nguyên nhân siêu bão dồn dập
Theo Cơ quan quản lý khí quyển và đại dương Mỹ (NOAA), chỉ trong 5 năm qua, số lượng bão cấp 4 – 5 trên thế giới đã tăng gần 30% so với thập niên 1990. Riêng năm 2025, Melissa là cơn bão cấp 5 thứ năm xuất hiện trên hành tinh, sau Ragasa ở tây bắc Thái Bình Dương (ngày 21.9), Erin và Humberto ở Đại Tây Dương (ngày 16.8 và ngày 27.9), Errol ở ngoài khơi tây bắc Úc (ngày 16.4), theo trang Yale Climate Connections.

Người dân Jamaica trú ẩn tại một trường học trước khi siêu bão Melissa đổ bộ ngày 27.10.2025
Giới khoa học nhận định nhiệt độ đại dương tăng là yếu tố then chốt khiến các cơn bão ngày càng mạnh và xuất hiện dày đặc. Ông Akshay Deoras, nhà khí tượng học tại Đại học Reading (Anh), chỉ ra rằng: “Đại dương hiện cực kỳ ấm, nhiệt độ cao hơn 2 – 3°C so với bình thường. Không chỉ bề mặt mà cả các lớp nước sâu hơn cũng ấm bất thường, tạo ra nguồn năng lượng khổng lồ cho các cơn bão”. Khi đại dương tích tụ nhiều nhiệt, năng lượng giải phóng trong quá trình ngưng tụ hơi nước khiến bão mạnh lên nhanh chóng. Đây là lý do khiến nhiều khu vực hứng chịu lượng mưa kỷ lục và ngập lụt nặng nề sau mỗi trận bão, theo AP.
Bên cạnh đó, biến đổi khí hậu cũng đang làm thay đổi cấu trúc thời tiết toàn cầu. “Không phải mọi cơn bão đều trở thành siêu bão, nhưng trong thế giới đang ấm lên, khả năng bão mạnh lên cực nhanh sẽ ngày càng cao”, bà Bernadette Woods Placky, nhà khí tượng học trưởng tại Climate Central (Mỹ), nhận định. Theo bà Placky, khoảng 90% lượng nhiệt dư thừa do hiệu ứng nhà kính đang được hấp thụ bởi đại dương, khiến nước biển nóng lên, dâng cao và xâm lấn đất liền, ngay cả khi không có bão.
Trong khi đó, bà Anne Rasmussen, trưởng đoàn đàm phán của Liên minh các quốc đảo nhỏ (AOSIS), cảnh báo: “Nỗi sợ hãi mà người dân Jamaica đang trải qua hôm nay là thực tế mà các quốc đảo phải đối mặt mỗi năm. Thảm họa khí hậu này không nên trở thành điều “bình thường mới” của nhân loại”.
Hành động khẩn cấp
Trước thực tế nêu trên, Hội nghị thượng đỉnh khí hậu COP30 tại Belem (Brazil) vào tháng 11 tới sẽ là phép thử quan trọng cho khả năng của các quốc gia đối phó với kỷ nguyên siêu bão và biến đổi khí hậu toàn cầu. Ông Simon Stiell, người đứng đầu Cơ quan khí hậu LHQ (UNFCCC), cảnh báo rằng lượng khí thải nhà kính toàn cầu có thể bắt đầu giảm trong thập niên tới, nhưng tốc độ đó “vẫn chưa đủ nhanh” để ngăn chặn những hậu quả nghiêm trọng nhất đối với hành tinh. Tờ The Guardian ngày 28.10 dẫn lời ông Stiell kêu gọi các quốc gia đẩy nhanh hành động ở mọi lĩnh vực kinh tế, đồng thời gắn các mục tiêu giảm phát thải với đời sống thực tế của người dân.




